2011年6月

2011年6月5日

6月6日新宿での国際シンポジウムで恩師の岸先生が基調講演をされるので
夕食後に豊橋経由で東京に戻らなければなりませんでした
この記事は大体東京に向かう新幹線の中で書いて東京駅に着くまでに
アップするという感じです 土曜の内にメイクイーンを掘り出しておきました
一番びっくりしたのはキウイが少し大きくなっていたことです
お隣の藤田さんのキウイはやはりオスばかりで 藤田さんによれば
キウイの花粉は2キロくらいは飛んで授粉するというので
藤田さんの花粉が飛んできたようです まずは目出度しです

ローゼルハイビスカスが大きくなってきました
ゴーヤもやっと伸びてきました
ビワも黄変してきましたよ
これは一番大きい房です
桝井ドーフィンの夏果です 秋果の方が沢山なりますし 美味しいです
アジサイが咲いています
振分にして縛り直しました
昨日収穫したタマネギは倉庫の床にひろげて乾燥することに
ーブルオレンジの花は歩留まりがよいです 楽しみですね!
メイクイーンで 少し連作障害が出ているものも
レッドムーンも少し収穫しました
一応3箱で乾燥・保存します
皇帝ダリアは完全に根が張っていますね 年々大きくなります
2週間来ないとカボチャが伸び放題です
前回蒔いたトウモロコシはほとんど発芽しませんでしたので
また種を蒔き直して不織布で保護しました
これが例のキウイです すっかり諦めていたのですが
ほーらね! これから徐々に大きくなっていくことでしょう
おまけです
レモンはあれだけ花が咲いていたのに ほんの少し実が残っているだけです
一方 スダチは沢山の実を付けています
左からメロン スイカ 休耕田 そして落花生です

2011年6月12日

梅雨に入って雨中での農作業を覚悟していたのですが 雨がいっぱい降った
週末はフランス出張でしたので関係なし 昨日も昼までは降ってましたが
農場に行く頃には晴れ間も見え 今日も午前中は晴れていました
夏の間は葉物の野菜はうまく育ちませんので スイカ カボチャ
トウモロコシ 枝豆 トマト ナス ピーマン それに空心菜ですかね
12時過ぎには作業終了 一風呂浴びてからブランチを食べました

ガーックリ! ビワの保護はネットでは役に立たないことが判明
来年は紙袋を用意しなければ アリとか変な虫によって
先週はキレイだったビワがぼろぼろにされていました ー 溜息….
こっちなんか種しか残っていませんでした!
こちらはまだマシですが アリが穴を開けて中身を食べています
ネーブルオレンジに期待しましょう
アリストロメリアが咲いています
この柿は順調に葉を付けています
色とりどりの撫子が咲いています
マリーゴールドも続々と咲き始めました
トウモロコシの第一陣ですが あと10日間くらいで食べ頃でしょうか
ここに種から育てた鷹の爪を5本植えてあります
ローゼルハイビスカスが順調に大きくなっています
かなり落果してましたが生き残ったキウイは大きくなってました
これは温州ミカンでしたかね 違うかも でもミカンです
ヤングコーンを収穫しました 夕食でゆり様が茹でてくれたのを
食べましたが美味しかったですよ!
猫の額畑のローゼルハイビスカスが一番大きくなっています
ここにはバジルも植えてあります
ゴーヤが伸びてきました
この花の名前は?? ゆり様も知らないって
トマトが大きくなってきましたよ 瓶詰めのトマトが何個出来ますかね?
これ ちょっと傷物ですが 最初のトマトです
朝見回りましたらカボチャの雌花が咲いていましたので
人工授粉をしておきました
カボチャが広がってきました
これは接ぎ木のスイカです そろそろ実を付け始めています
キウイをもう一度見に行きました
ブラックベリーが出来ています ラズベリーはまだマイナーです
アリッサムが復活してきましたよ
ゆり様は名前のとおり「ゆり」が好きなんですよ
鬼嫁ならず鬼ゆり か
インゲン豆を収穫しました
これは吊さずに安城に持ち帰るためのタマネギです
黄色いバラの第二ラウンドが始まりました
人参は全部収穫しました ゴボウも収穫 真ん中のは箱入り娘のナスです
ちょっと爆発したのもありますが キャベツを5個収穫しました
大根を少々早どりしました 辛みが無くて美味しいですよ
産めよ増やせよ と トマトを叱咤激励
箱入り娘ナスです きれいな葉っぱになっています
こちらはピーマンです まだ生産体制には入っていませんが 乞うご期待

2011年6月18日

日曜は昼は名古屋で 夜は東京で会食がありますので 今日は日帰りで
農場に行ってきました ゆり様は家のリフォーム中ですのでお留守番
安城では結構雨が降っていましたが浜名湖は曇りで働きやすかったです
作業が終わりかかったときにザパーッと雨が降ってきました
帰りの高速は岡崎の手前15キロくらいが渋滞で中日ーオリックス戦では
サッパリ打てないゲームを聞きながらイライラしていました

この日収穫したナス5本の写真を撮り忘れていましたので
安城のキッチンで撮影しました まあ きれいなナスでしょ
ガーン ビワが一個もありません 誰だ! 犯人は!
まあ 来年対策を考えましょう 美味しいときに盗まれる ということです
ゴーヤがだいぶ伸びてきました 側枝を伸ばすために芯を止めました
ローゼルハイビスカスに何やら蕾らしきものが付いています
バジルも元気よく育っています
梅雨ですね アジサイがきれいです
バラが再び咲き始めました
ネーブルオレンジの味見をするのが楽しみです
一面カボチャの蔓だらけです
所々に実がなっていますよ
これはソフトボールくらいの大きさです
木に這い上がった蔓からもカボチャが出来ていますよ
里芋がグーンと大きくなりました
これはミディトマトです ゆり様が種から育てました
ズッキーニがなり始めました
まだ来週でしょうね 収穫時は 靴下をかぶせておきました
オクラも順調に育っています
この赤ジソはゆり様がシソジュースを作るためのものです
ショウガがやっと伸びてきました
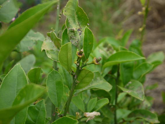
キウイがバッチリ育っていますよ
これはミカンです
レモンは殆ど落花してしまいましたが 昨年並みには採れるかも
もう一度花が咲かないかなー 小さいレモンでも良いから
鳥かなんかがトウモロコシの苗を引き抜いてました
2本立ちのところから何とか移植して取り繕いましたが

2011年6月26日

昨日は8月の安城市の小・中学校の先生たち向け講演の打ち合わせが
家でありまして それからスーパーで買い物したりして農場に来ました
東京は結構涼しかったのですが 安城は茹だるような暑さでした
浜名湖ではそれほど暑くもなく 暗くなるまで農作業をして
夕食はお好み焼きでしたがトウモロコシや枝豆の初物も食べました
翌日は霧雨が降っていましたが朝の6時から作業開始
段々暑くなってきて12時頃には作業終了でした シャワーを浴びて
ブランチは素麺でした 中日は広島に完封負け….。
今週の金曜は東京ドームにドラゴンズを応援しに行きます
週末は高知出張で農作業は2週間後ということで

初物のトウモロコシ2本を収穫して夕食時に食べました
美味しかったですよ 実もぎっしり詰まっています
もう少し待てば という状態でしたが 次は2週間後ですので
収穫し これも夕食時に食べました 満足です!
茹であがった収穫物です
これは日曜に収穫したトウモロコシです ゆり様のお友達にお裾分けしました
ほーら ナスが沢山収穫できましたよ ピーマンもついでにちょっと
猫の額畑も まずまずの様子です
これは2週間後には無くなってますね 鳥か野獣か?
ビワの若芽がどんどん出ています 来年は沢山できるでしょうが
なんとか保護しないと私の口には入りません
ネーブルオレンジも大きくなってますよ
桔梗の花がヒッソリと咲いています
これは白蝶草というのだそうです
左の畝には右の鳴門金時の芽を切って移植してあります
茶色の葉っぱが混じっているのが安納芋です
収穫後のトウモロコシを切って保水用のマルチにしています
皇帝ダリアが相当でっかくなりました
引き抜いた枝豆です ビールのおつまみに なんて言って
ビールは飲みませんでした
先週ひどかったトウモロコシですが何とか回復しています
トマトが出来はじめています さーて何個採れますかね?
これは収穫します ちょっと大きめのトマトです
第2陣のトウモロコシは2週間後に収穫でしょうが 
今日は大きめのやつに靴下をかぶせました
トマト畑です 風通しを良くしなければ ….
レッドムーンは春秋2度作で
オクラも順調に育っています
収穫したレッドムーンの全景です
箱入りナスでございます(大きいのは収穫済み)
これからドンドンピーマンが出来ますよ
落花生畑の雑草取りだけで1時間以上かかりました
これが一番大きなスイカです スクスク育てよ!
キウイがどんどん大きくなっています
もう誰が見てもキウイの子供ですよね
ついでにもう一枚パチリ
雪化粧も大きくなってます これを植えたのは初めてです
これはエビス系の普通のカボチャです
これは別の雪化粧
ゆり様が木に登らせようって言ってましたが 正解ですね
これで全部ですよ 種芋を沢山植えて12月にもっと収穫しよう!
同じマリーゴールドとは思えないほど大きさが様々です
マリーゴールドを植えると線虫が少なくなるって本に書いてあります
まだローゼルハイビスカスより背が高いのがあります